Dopo oltre quindici anni di ricerche meticolose nelle cavità sotterranee della Campania, il professore Luigi Petruzziello ha raggiunto un traguardo straordinario: la scoperta e la descrizione di tre nuove specie di coleotteri. Un risultato che non solo arricchisce il patrimonio scientifico italiano, ma diventa anche un monito sulla necessità di proteggere l’equilibrio naturale che ci circonda. Le nuove specie – il Duvalius petrumartinoi, il Lathrobium oscum e il Lathrobium marianoi – sono state pubblicate nel 2025 su importanti riviste scientifiche, tra cui Il Giornale Italiano di Entomologia e Onychium, grazie al lavoro congiunto di Petruzziello e dei colleghi Paolo Magrini e Arnaldo Bordoni del Museo di Storia Naturale dell’Università di Firenze «La Specola».
Il coleottero più atteso
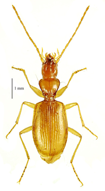
Il più atteso tra i ritrovamenti è il Duvalius petrumartinoi, un coleottero di appena 5 millimetri che appartiene alla famiglia dei Carabidi. È stato rinvenuto nella suggestiva Grotta dei Briganti, sul Monte Cigno, all’interno del Parco Regionale del Matese. Raggiungere questa scoperta ha richiesto anni di pazienza e dedizione: dal 2022 al 2025, sono stati raccolti soltanto 15 esemplari. La rarità di questi insetti è confermata dai numeri: nell’Italia centrale si conoscono 24 specie, mentre nel Meridione erano soltanto due. Ora, grazie a Petruzziello, diventano tre. Il nome scelto è un omaggio personale: il professore ha voluto dedicare la specie al nipotino Martino, di appena due anni. «Con l’augurio – ha spiegato – che possa un giorno appassionarsi all’entomologia più del nonno».

La seconda scoperta
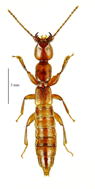
Un secondo ritrovamento porta con sé un forte legame con la storia del territorio. Il Lathrobium oscum, lungo circa 12 millimetri, è stato scoperto nella Miniera di Lignite di Acerno (SA), un complesso di cunicoli di oltre 2.600 metri abbandonato dagli anni Cinquanta. Il nome è un tributo agli Osci, popolo italico che abitò la Campania e gran parte dell’Italia meridionale molto prima dell’espansione romana, testimoniando così un legame profondo tra biodiversità e memoria culturale.

Il terzo coleottero
Il terzo coleottero, il Lathrobium marianoi, è il più grande tra i tre (13 millimetri) ed è stato rinvenuto anch’esso nella Grotta dei Briganti. Petruzziello lo ha voluto dedicare al nipote Mariano, che lo accompagna spesso nelle spedizioni e nelle ricerche sul campo. La specie è la quinta documentata in Campania e la più grande tra le 35 conosciute in Appennino, un record che impreziosisce ulteriormente la fauna sotterranea della regione.

L’importanza della biodiversità
Ma Petruzziello non si limita all’aspetto accademico: il suo lavoro è anche un invito alla riflessione.«È fondamentale far conoscere, soprattutto alle nuove generazioni, la natura nella sua integrità – sottolinea – per far nascere la cultura del rispetto e della tutela della biodiversità. Senza biodiversità non c’è vita».